«Спасти Джека!» Жительница Домодедова спасает жизнь щенка, пострадавшего от рук живодера
Жительница Домодедова Людмила Длугина проезжала по Каширскому шоссе и заметила щенка на дороге. Попытавшись его уберечь от попадания под машину, поняла, что щенок двигается с трудом. Подойдя к нему обнаружила, что его лапы переломаны, на одной перелом открытый, на шее затянута веревка.
«Не смогла пройти мимо. К нему было трудно подойти он был напуган и обезвожен, на сломанных лапах пытался убежать, рычал. Начали останавливаться другие водители и предлагать помощь», – рассказала жительница Домодедова Людмила Длугина
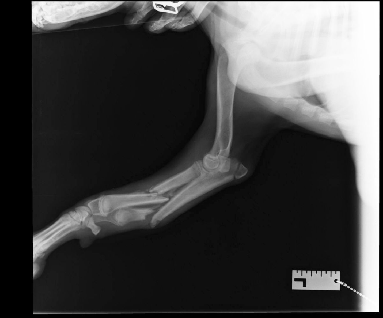
Неравнодушные жители обернули животное в одеяло, надели намордник и отвезли собаку в ближайшую клинику. На приеме у ветеринара были обнаружены множественные ушибы и раны, нанесенные твердым предметом, а также внутренние переломы по итогам рентгена.
«Щенка назвали Джеком, сейчас он находится на реабилитации в ветеринарной клинике в инфекционном отделении. Проведена первая операция на одну лапу, получает антибактериальную терапию. Мы собираем средства на дорогостоящее лечение», – добавила Людмила Длугина.
Позже Джеку предстоит вторая операция на другую лапу. Помощь также оказывают волонтеры кинологической службы ввиду того, что щенок с боязнью подпускает к себе людей. Проведенные анализы показывают инфекционное заболевание и заражение крови, что влечет за собой нервно-дистрофические расстройства.
Помочь Джеку можно по указанному номеру телефона:
+7 (926) 634-09-54 Длугина Людмила
Либо карта: 4276400075581182
Сбербанк
 
 
								
																									
															
																	
													
													
														
													 
 
								
																									
															
																	
													
													
														
													 
 
								
																									
															
																	
													
													
														
													 
 
								
																									
															
																	
													
													
														
													 
 
								
																									
															
																	
													
													
														
													 
 
								
																									
															
																	
													
													
														
													 
 
								
																									
															
																	
													
													
														
													 
 
								
																									
															
																	
													
													
														
													 
 
								
																									
															
																	
													
													
														
													 
 
								
																									
															
																	
													
													
														
													 
 
								
																									
															
																	
													
													
														
													 
 
								
																									
															
																	
													
													
														
													 
 
								
																									
															
																	
													
													
														
													 
 
								
																									
															
																	
													
													
														
													 
 
								
																									
															
																	
													
													
														
													 
		
														
															
																	
													
													
														
													 
		
														
															
																	
													
													
														
													Жительница Домодедова Людмила Длугина проезжала по Каширскому шоссе и заметила щенка на дороге. Попытавшись его уберечь от попадания под машину, поняла, что щенок двигается с трудом. Подойдя к нему обнаружила, что его лапы переломаны, на одной перелом открытый, на шее затянута веревка.
«Не смогла пройти мимо. К нему было трудно подойти он был напуган и обезвожен, на сломанных лапах пытался убежать, рычал. Начали останавливаться другие водители и предлагать помощь», – рассказала жительница Домодедова Людмила Длугина
Неравнодушные жители обернули животное в одеяло, надели намордник и отвезли собаку в ближайшую клинику. На приеме у ветеринара были обнаружены множественные ушибы и раны, нанесенные твердым предметом, а также внутренние переломы по итогам рентгена.
«Щенка назвали Джеком, сейчас он находится на реабилитации в ветеринарной клинике в инфекционном отделении. Проведена первая операция на одну лапу, получает антибактериальную терапию. Мы собираем средства на дорогостоящее лечение», – добавила Людмила Длугина.
Позже Джеку предстоит вторая операция на другую лапу. Помощь также оказывают волонтеры кинологической службы ввиду того, что щенок с боязнью подпускает к себе людей. Проведенные анализы показывают инфекционное заболевание и заражение крови, что влечет за собой нервно-дистрофические расстройства.
Помочь Джеку можно по указанному номеру телефона:
+7 (926) 634-09-54 Длугина Людмила
Либо карта: 4276400075581182
Сбербанк
Для улучшения работы и сбора статистических данных сайта собираются данные, используя файлы cookie и метрические программы.
Продолжая работу с сайтом, Вы даете свое согласие на обработку персональных данных, а также подтверждаете ознакомление с пользовательским соглашением.
Файлы cookie можно отключить в настройках Вашего браузера.